Более 30 партнеров, финансируемые Европейским союзом, объединились под руководством Эдинбургского университета для проекта iAtlantic. Ученые будут изучать, как влияет изменение климата на жизнь животных и растений в океане. С помощью высокотехнологических устройств они планируют сканировать воды от Арктики до Южной Америки.
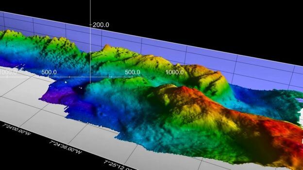
На протяжении 4-х лет ученые будут создавать цифровую карту экосистем океана.

По словам координатора программы iAtlantic, профессора Мюррея Робертса из Эдинбургского университета, Атлантика страдает от трехстороннего влияния. Вследствие этого многие виды животных погибают. Причиной становится изменение климата, океаны поглощают 90% влияния глобального потепления на планету.
“Когда становится теплее, среда обитания в океане становится более кислотной. Атлантика, как и многие океанские бассейны в мире, дезоксигенируется — она теряет кислород, очень важный для жизни”, — говорит Робертс.
Команда ученых обратит особое внимание на экосистемы в 12 районах, включая Срединно-Атлантический хребет Исландии, Саргассово море, районы от Анголы до долины Конго и цепь подводных гор Витория-Триндаде в Бразилии.
Доктор Лоуренс Де Клиппел из Эдинбургского университета рассказывает, что на повышение температуры моря плохо реагируют кораллы. Она говорит, что, если кислотность океана достигнет высокого уровня, их оболочки могут размягчиться или раствориться полностью. Разрушение коралловых рифов опасно. Они служат домом для многих животных.

Благодаря автономному планеру ученые могут измерить температуру, соленость, уровень кислотности океана, сколько солнечных лучей проникает в воду и множество других параметров.
Проект продлится в рамках программы Европейского союза “Горизонт-2020”.
“Мы будем смотреть на горбунов, планктон и кораллы. И тогда будем работать исходя из того, как функционирует физика океана. Затем сможем понять, где экосистемы переходят из одного состояния в другое”, — подчеркивает доктор Робертс.

На проект будет выделено около 40 миллионов евро.
Читайте также: Голландец запустил систему очистки Мирового океана